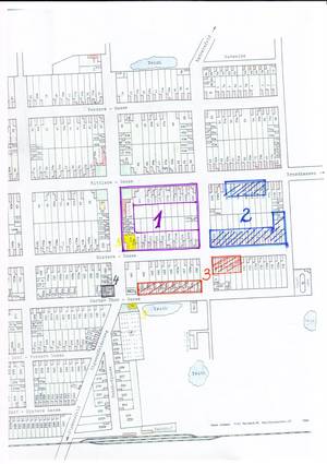
Lageplan Lazarfeld

Am 18. April 1945 wurde das Lager in den Häusern der Mittleren Gasse (Haus Nr. 101 – 105) und der Hinteren Gasse (Haus Nr. 123-129) – im Plan mit einer 1 gekennzeichnet (siehe ganz unten)- eingerichtet.

Die Häuser wurden nicht eingezäunt, es standen nur Posten um das Viertel und teilweise in den Gärten.

Nachdem die Menschen in die Lager  – hauptsächlich nach Rudolfsgnad, Mitrovitza, Kathreinfeld und Großbetschkerek – abtransportiert wurden verkleinerte man das Lager und verlegte es in die Häuser der Mittleren Gasse (Haus Nr. 107 – 110) und der Hinteren Gasse (Haus Nr. 114 – 122) – im Plan mit einer 2 gekennzeichnet.

Nach einer erneuten Verkleinerung wurde das Lager in den Häusern 169 – 171 der Hinteren Gasse und 162 a – 168 b der Gustav-Thor-Gasse eingerichtet. Im Plan mit einer 3 gekennzeichnet.

Die letzten Lagerinsassen (Kriegsgefangene) wurde in das Haus 160 a (Simon-Wirtschaft)verlegt, wo sie bis zur Auflösung des Lagers Lazarfeld Ende 1946 blieben – im Plan mit einer 4 gekennzeichnet. Dieses Grundstück wurde mit einem Drahtzaun umzäunt, auf dem oben Stacheldraht angebracht war.

Die Lagerküche befand sich zuerst im Haus Nr. 129, später dann im Friedhofshaus – im Plan mit einer 5 gekennzeichnet.

Ab Ende 1946 verblieben noch einzelne Gefangene im Dorf, sie waren mit ihren Familien im Bullenstall (Haus Nr. 132) untergebracht, um die Stallarbeiten zu verrichten und die Tiere zu füttern. Weitere Gefangene waren in der Fochler´schen Mühle Haus Nr. 43 a, der Agraria Haus-Nr. 130 a und im Haus Nr. 35 b.

Im Haus Nr. 130 a – Agraria – befand sich eine Schneiderei, im Haus Nr. 35 b waren zwei Sattler und die Seilerei untergebracht. Hans (Johann) Haas aus dem Haus Nr. 162 a und sein Großvater betrieben die Seilerei.

Ab 1947 konnte man sich -obwohl noch Lagerinsasse – im Dorf frei bewegen. Die Lagerküche war eingestellt – für das Essen musste ab dann jeder selbst sorgen.

Diese Informationen sowie der Lagerplan stammen von Hans Haas